Kontaktpersoner
Programleder
Lene Buhl-Mortensen
55 23 69 36
Toktleder
Pål Buhl-Mortensen
97 46 41 51
Informasjonskonsulent
Beate Hoddevik Sunnset
55 23 85 16
Abonner på nyheter
Send en e-post til
mareano@imr.no
Publisert: 13.06.2008 Oppdatert: 02.11.2022
På et av undervannsnesene vest for Andøya fant vi en lekker kjempehydroide. Dette er en art i slekten Corymorpha, med en imponerende størrelse av 25 cm. Det er stort for å være en enkelt polypp. Ett annet kjempestort nesledyr som vi har kommet over, er sjøpennen Umbellula. Da vi passerte et eksemplar som var rundt 1,5 m høyt var det folk ombord som spøkefullt mente at tromsøpalmen hadde spredt seg vel langt.

Fjærstjerne og blomkålkoraller på 1000 meters dyp vest av Andøya.
Bunnlevende maneter har vi ikke sett på tidligere MAREANO-tokt hvor vi har undersøkt havbunnen på grunnere vann. På dette toktet har vi observert en karakteristisk art som vi enda ikke har funnet navnet på. Det er i det hele tatt mange overraskelser når vi filmer i lav høyde over bunnen på de store dyp.

Dette er faktisk en manet som sitter fast på bunnen! Den fant vi flere steder dypere enn 1000 meter.
Innenfor sokkelkanten, sydvest av Malangsgrunnen fant vi tre korallrev som ikke har vært registrert tidligere. Disse fant vi på grunnlag av tolking av topografien på kartene som Sjøkartverket har laget.

Korallrevene er levested for mange dyrearter og ofte er det mye fisk på disse stedene. Her ser vi levende Lophelia korall i bakgrunnen og sjøtre til høyre i bildet. På sidene av død korall sitter det mengder av reirskjell.
Det er mye som skal fungere når en tar bunnprøver på dypt vann, og været er ofte en begrensende faktor. Så langt på dette toktet har vi vært heldige og har kun mistet ett døgn på grunn av sterk vind, men problemer med wiren til bomtrål og slede har i tillegg tatt fra oss ett ekstra døgn. Wiren måtte spleises på nytt på trålbøteri i Myre. Når en bruker sleperedskaper på store dyp er det store krefter i sving.
På tidligere MAREANO-tokt har vi hatt enkelte problemer med videoriggen Campod, men denne gangen er disse barnesykdommene ryddet av veien. Med Campod får vi informasjon om havbunn og dyreliv fra alle bunntyper, også der hvor hverken grabb eller bomtrål kan brukes. Med dette redskapet har vi dokumentert at variasjonen i naturtyper og fauna er stor i skråningen ned fra kontinentalsokkelen. For å undersøke forholdene videre ut på dyphavssletten må vi oppgradere Campod til å tåle trykket som er på dyp større enn 2000 meter. Bunnprøvene som vi samler inn med grabb, boxcorer, bomtrål og slede gir oss viktig materiale for å kunne bestemme artene sikkert. De fleste artene på havbunnen er små og kan ikke bestemmes på grunnlag av bilder.
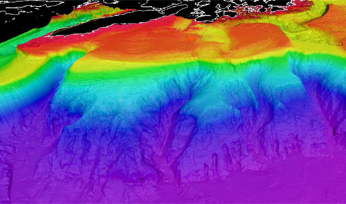
Toktet går gjennom variert landskap, og som topografikartet under indikerer, er terrenget dramatisk med brå endringer i dybde. Topografien bestemmer miljøet på mange måter; strømmene styres av den og mange steder transporteres sedimenter i kanaler og raviner.

På skråningen utenfor kontinentalsokkelen vest av Andøya er det et variert landskap på dypt vann, med undersjøiske nes og raviner.
Det er ikke bare G.O. Sars som er ute ved sokkelkanten disse dagene. Foruten seismikkbåtene lenger syd, er nesten hele sokkelkanten ved Røstbanken og øvre del av skråningen okkupert av garn og liner fra fiskebåter som går etter blåkveite. Hele Bleiksdypet er fullt av bruk, og så langt har vi måtte avskrive denne interessante undersjøiske ravinen på denne del av MAREANO-toktet. Derfor konsentrerer vi arbeidet de neste to dagene i en naboravine litt lenger syd. Vi krysser fingrene og håper været holder seg.