
Anemonen Ptychodactis patula på havbunnen utenfor Utsira
Anemonen Ptychodactis patula på havbunnen utenfor Utsira
Publisert: 12.04.2023
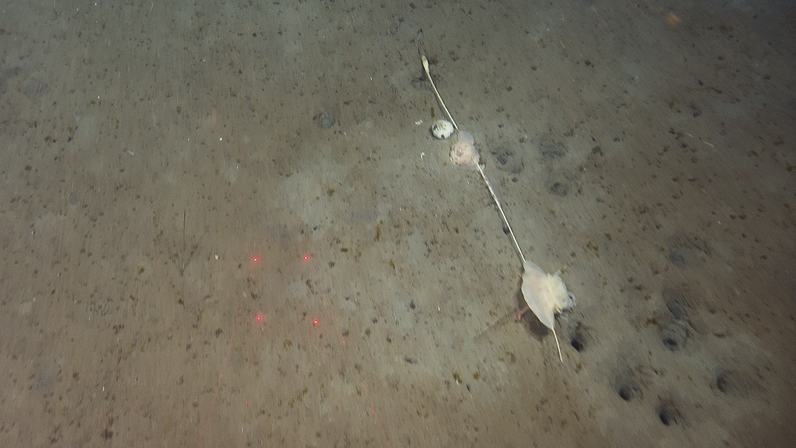
I mange år har vi i Mareano sett en gul anemone nede på havbunnen, en som med sin store fot ser annerledes ut enn de andre, men som vi ikke har klart å sette navn på. Så vi har kalt den «gul anemone», med et håp om at vi en dag kom til å bli kjent med dens ekte identitet. Men nå har sannheten kommet frem, og det viser seg at den er et rovdyr med en forkjærlighet for sjøfjær.
Første gangen vi senket video riggen vår – Chimera – ned på havbunnen utenfor Utsira, så vi den. Først på avstand som en litt stor, uskyldig anemone sittende i mudderet. Så som en som tilfeldigvis hadde kommet over en død sjøfjær – kanskje den er en åtseleter? tenkte vi. En som spiser litt av det den kommer over av døde rester på havbunnen? Men et par minutter senere langs videolinjen vår kom det et hint om dens sanne natur – der, høyt på toppen av en Funiculina-sjøfjær hadde den viklet den store foten sin rundt, og vridd seg – med munnen godt siktet mot de saftige sjøfjær-polyppene. Kunne denne ekstra puslespillbiten hjelpe oss med å finne den ekte identiteten til anemonen?
Til lunsj møtte vi på toktlederen vår Rebecca Ross (Bex), og fortalte ivrig om denne gule anemonen som vi nå trodde kunne være et rovdyr, med sjøfjær på menyen. Å, jeg har nettopp hørt om en slik anemone! svarte Bex. Rett før vi dro ut på tokt hadde vår kollega Lene Buhl-Mortensen kommet innom kontoret til Bex og fortalt om sin nye artikkel som var til trykk om sjøfjær i Skagerrak. Hun viste Bex noen bilder som tilfeldigvis fremhevet en anemone som spiser sjøfjær, nemlig Ptychodactis patula (se kilde til artikkelen under). En sjekk av bilder og litteratur viste at den gule anemonen var ingen andre enn rovdyret Ptychodactis patula.
Denne taksonomiske gruppen av anemoner, Ptychodactis, omfatter tre arter som alle er kjent for å jakte på koraller og sjøfjær. I norske farvann forekommer kun denne ene arten, mens de to andre artene lever på den sørlige halvkule, den ene utenfor kysten av Afrika og den andre utenfor Chile. Den fleksible og unike kroppsformen til denne anemonen gjør at den både kan kravle og rulle langs havbunnen på jakt etter byttedyr. Forskere som har samlet den inn har til og med beskrevet den som «så myk at den sprer seg mot båtdekket som en klut» (Grebel’nyi, 2007).
Påskemysteriet om den sanne naturen til den gule anemonen er nå løst, i morgen reiser vi videre til Nordsjøen for å avdekke flere sannheter.
Buhl-Mortensen L, Thangstad TH, Guldborg S, Wehde H (2023). Sea pens and bamboo corals in Skagerrak and the Norwegian trench, Marine Biology Research (in press).
Grebel’nyi, SG (2007) New Records of the Sea Anemone Ptychodactis patula Appellöf, 1893 (Anthozoa: Actiniaria) in the Northern and Far Eastern Seas of Russia, Russian Journal of Marine Biology 33:1