
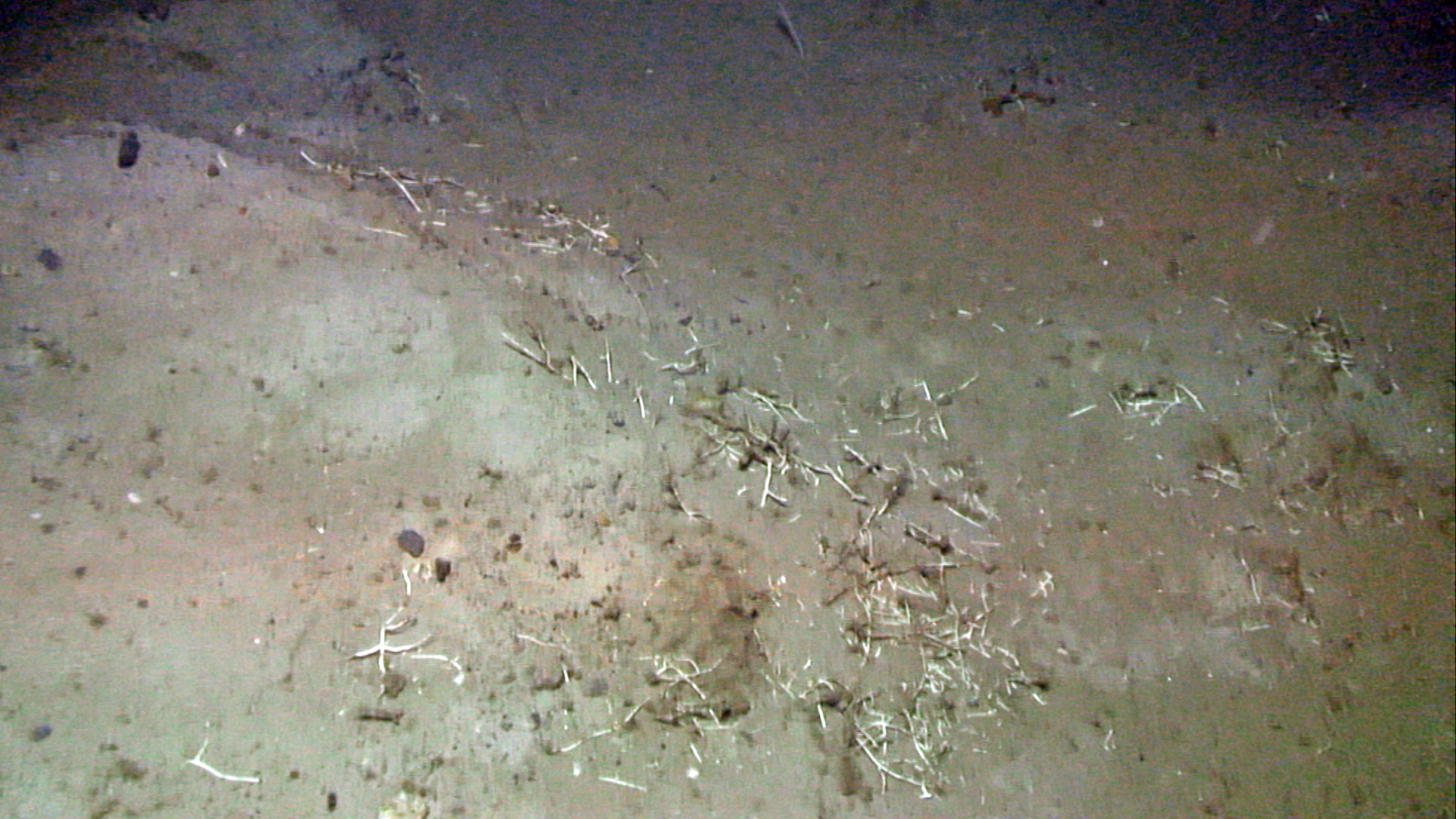
Liten piperenser (Virgularia mirabilis) er et av dyrene vi observerte mange av.
Foto: Mareano / HavforskningsinstituttetLiten piperenser (Virgularia mirabilis) er et av dyrene vi observerte mange av.
Foto: Mareano / HavforskningsinstituttetPublisert: 08.07.2022 Oppdatert: 11.07.2022
På dette toktet har vi undersøkt en rekke lokaliteter på kontinentalsokkelen og øvre del av kontinentalskråningen nord for Svalbard. Bunntypene varierer fra myk slambunn til hardere bunn av grus og stein. Vi har observert mer enn 250 ulike arter av bunndyr på havbunnen. De fleste artene opptrer i lavt antall, mens et fåtall (18 arter) står for halvparten av alle observasjonene. Dette er et vanlig fordelingsmønster i marine bunndyrsamfunn, og ikke bare et fenomen i Arktis. De vanligste dyrene er liten piperenser (Virgularia mirabilis), blomkålkorallen Gersemia rubiformis, reken Pandalus borealis, sjøstjernen Icasterias panopla og fisken langebarn (flere arter i gruppen Lumpeninae).
Vi har undersøkt havbunnen mellom 80 og 1600 meters dyp, og finner generelt det største artsmangfoldet mellom 400 og 800 meter. På de dypeste lokalitetene har vi observert mellom 15 og 35 arter, mens på rundt 600 meters dyp har antallet arter vært mellom 30 og 55. En del arter av svamp og korall danner habitater, eller naturtyper når de opptrer i større tettheter. Disse habitatene har et stort mangfold av andre arter og er sårbare for menneskelige aktiviteter som bunntråling. Gjennom Mareano registrerer vi forekomst av slike habitater, og på dette toktet har vi funnet flere områder med sjøfjærbunn, ulike svampsamfunn og bløtbunnskorallskoger.På den øvre delen av kontinentalskråningen, på dyp mellom 600 og 800 meter, har vi funnet to ulike bløtbunnskorallskoger som består av hornkorallene grisehalekorall (Radicipes gracilis) og bambuskorall (Isidella lofotensis). Grisehalekorall var ikke kjent fra norske havområder før vi gjennom Mareano fant en lokal bestand på Bjørnøyvifta (sørvest av Bjørnøya) i 2009. Nå har vi utvidet det norske utbredelsesområdet med seks nye lokaliteter spredt langs sokkelkanten nord for Svalbard. Vi observerte arten på dyp mellom 500 og 750 meter, som er samme dyp den ble observert på sørvest for Bjørnøya. Den begrensete utbredelsen som har vært kjent fra før, samt trussel fra fiskerier, var bakgrunnen for at arten ble rødlistet med kategori «sårbar» i 2015.
Bambuskorallen, Isidella, er kjent fra norske fjorder og havområder på dyp mellom 200 og 700 meter, med temperaturer på mellom 0,5 og 8 grader. Nord for Svalbard finner vi samme art på 700 til 800 meters dyp. Her er temperaturen rundt 0,5 grader, altså nær dens nedre temperaturgrense. På større dyp, ned mot 1100 meter, fant vi områder med ansamlinger av døde bambuskorall-skjeletter. Skjeletter av bambuskorall ble observert på fire lokaliteter, og på to av disse var det også levende kolonier.
På én av lokalitetene (770 m dyp) var det tydelige spor etter bunntråling. Her fant vi kun døde skjeletter, og det er nærliggende å tro at det er trålingen som har knust og drept korallene. Levende bambuskorall danner en egen naturtype som er vurdert som livskraftig de fleste steder hvor den har vært kjent, men utenfor Egersund, i Norskerenna, er den rødlistet som «nær truet». Nord for Svalbard har ikke denne naturtypen vært kjent tidligere. Kun ubekreftede funn i trål-bifangst fra Havforskningsinstituttets økosystemtokt er kjent.
Områdene med bambuskorall kartlagt på dette toktet kan være truet dersom fiske med bunntrål utvides. Hva som har drept de dypere bestandene av bambuskorall nord for Svalbard er en så lenge et mysterium. Kanskje er denne arktiske bestanden spesielt utsatt for temperatursvingninger?
En viktig grunn til at Mareano nå kartlegger havbunnen nord for Svalbard er å skaffe relevant kunnskap som grunnlag for bærekraftig forvaltning av fiskeriene i disse områdene. Mindre is, sommer og høst, nord for Svalbard, har gjort tidligere beskyttede områder tilgjengelige for fiske. Sårbare naturtyper som korallskoger og svamphager med saktevoksende og gamle organismer kan stå i fare for å bli rasert og ødelagt av tråling, eller påvirket av temperaturendringer. At det foregår fiskeri her allerede, er tydelig når man filmer havbunnen. Vi har sett spor etter bunntrål på 20 prosent av alle de undersøkte lokalitetene mellom 80 og 1600 meters dyp. Trålspor forekommer fra 300 til 800 meters dyp, og i dette dybdeintervallet er hele 75 prosent av lokalitetene trålte.